La Grande Barrière de Corail 2
La Grande Barrière de Corail est incontournable quand on fait le tour de l’Australie, c’est l’un des endroits les plus visités du pays et elle est classée au Patrimoine mondial de l’Unesco. C’est également la plus grande structure créée par des organismes vivants au monde et elle est visible depuis l’espace (on peut la voir sur Google Maps, c’est impressionnant !) ! Malheureusement ce trésor naturel pourrait bien venir à disparaître à cause de la pollution des océans et du réchauffement climatique qui modifie la température de l’eau. C’est bien triste de penser que dans peut-être 50 ans, elle n’existera plus.
Nous avons prit un tour d’une journée au départ de Cairns, en bateau. Nous avons opter pour du snorkelling, c’est à dire de la plongée avec tuba. On n’a pas fait de « vraie » plongée avec les bouteilles d’oxygènes. C’était plus cher et ça ne nous intéressait pas plus que ça. On a bien fait car notre tour nous a amené sur des spots où les coraux remontaient beaucoup, par endroit jusqu’au dessus de la surface, du coup pas besoin de plonger profondément pour les apprécier.
Après un voyage en bateau d’environ une heure, qui a donné le mal de mer à beaucoup de monde (dont Manu ^^) nous arrivons sur Michaelmas Cay, une petite île de sable qui sert de refuge à des centaines d’oiseaux. Il y en avait énormément, ça piaillait dans tout les sens et ça sentait fort x)

Nous allons ensuite sous l’eau, celle-ci n’est pas très froide (environ 23°C) mais comme on ne bouge pas beaucoup, on se laisse surtout porter pour observer les fonds marins tranquillement, on est bien content d’avoir une combinaison qui nous protège du froid. En plus la combi permet de flotter sans efforts, pratique.
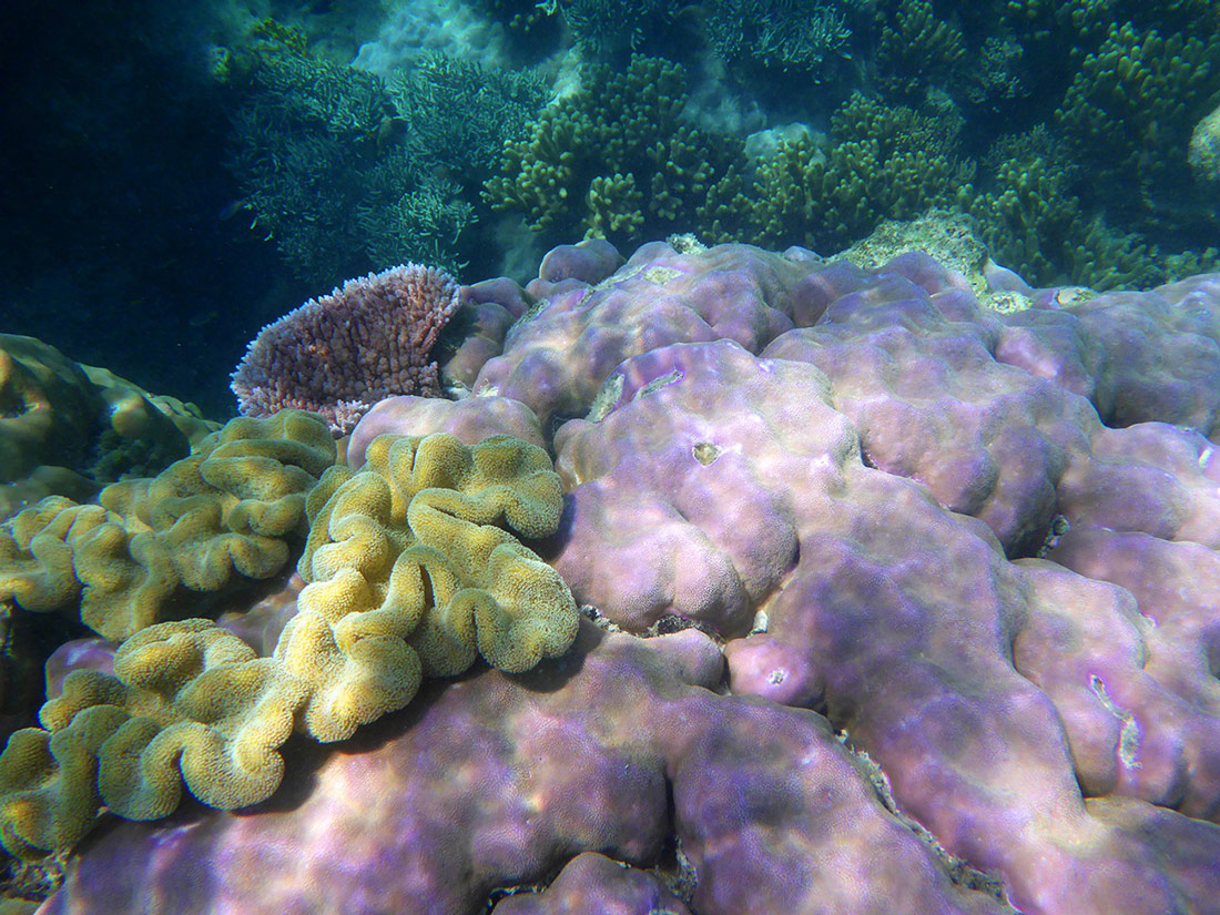
Nous avions loué un appareil photo qui va sous l’eau pour la journée, donc voici quelques photos de ce que nous avons pu voir !




Ensuite nous déjeunons sur le bateau, le repas (un buffet) est compris dans le tarif. Et nous partons pour notre 2ème spot de plongée, nommé Hastings Outer Reef, qui se trouve sur le côté extérieur du récif corallien. Nous voyons énormément de poissons tout colorés c’est trop beau ! Par endroits les coraux sont très proches de la surface, on est tout près, il faut faire très attention de ne pas les toucher car ils sont très fragiles…














Les coraux perdent de leurs couleurs à cause du soleil, vu qu’ils sont proches de la surface. Si nous avions plongé ailleurs, plus profondément nous aurions vu plus de coraux colorés mais bon ce n’était pas le même prix, sachant qu’il fallait qu’on fasse un stage pour apprendre à plonger etc.
C’était quand même génial, ça restera un très beau souvenir !! 🙂
2 commentaires
C’est magnifique, ça me rappelle un peu la Polynésie. J’espère que quand on le fera les coraux seront toujours aussi beau…
C’est impressionnant toutes ces couleurs que l’on peut voir sous l’eau. Ça devait être un moment unique pour vous que d’aller à la rencontre de ce mur de corail :). Et ça me donne encore plus hâte d’être à notre plongée sous-marine pour en voir les fonds… Ah l’Australie !